La zona de reglamentación A incluye casi la totalidad de la manzana A de la lotización semi rustica Cerros de Camacho de la que solo se excluyen el lote 0 y el lote 1.

La zona de reglamentación especial A es, conjuntamente con la zona A y con la zona B, parte de la zona de reglamentación especial Laderas de los Cerros de Camacho y el sector IV del Golf los Inca que fuera aprobaba por ordenanza 736 del 9 de diciembre del 2004


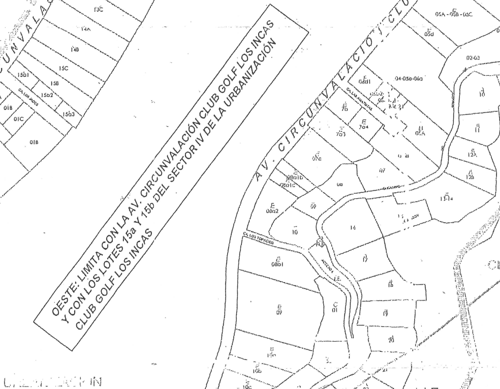
Los limites de la zona A, descritos en el articulo de la ordenanza 776 MML, conducen a errores en sus cuatro linderos:
Por el norte debe decir solamente «CON EL LOTE 1 de la manzana A de la lotización semi rustica Cerros de Camacho» y no mencionar el lote 0 de la manzana A ni tampoco el LOTE 2a del sector IV de la urbanización Club Golf que realmente se denomina SUB LOTE A del LOTE 2 el sector IV de la parcelación para Quintas Huerta Club Golf los Incas).
Por el sur debe decir «CON LOS SUB LOTES del 16 al 21 inclusive, del LOTE 17 del sector IV de la parcelación para quintas huerta Club Golf los Incas
Por el este debe decir con el área de reserva constituida por las LADERAS REDUCIDAS de los CERROS DE CAMACHO que forman parte del Cerro la GALLINACERA
Por el oeste solo se debe corregir la denominación LOTE 15c de la manzana D de la urbanización Cerros de Camacho, por la correcta, que es SUB LOTE C del LOTE 15 del sector IV de la parcelación para Quintas Huertas Club Golf los Incas






Debe estar conectado para enviar un comentario.